9 Rogers Road Brampton ON L6X 1L7
$ 795,000

Listing ID

#W12836462

Property Type

Detached

Property Style

Bungalow

County

Peel

Neighborhood

Brampton West

Days on website

33

Description
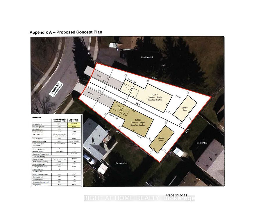
move-in ready, new paint on main floor; Large shed and separate workshop, Basement windows above grade. Sold Under Power Of Sale Therefore As Is/Where Is Without Any Warranties From The Seller. However - attention builders and contractors - this is a large lot, potential for severance (severance process started already, which has been approved with a possibility of building two homes with garden suites for additional rental income - see attached proposal for severance in one of the pictures. Or... continue using it AS IS (single family home on a large lot with big mature trees). NOTE: basement has a separate hydro meter
Location
Financial Information
List Price:  $ 795000
Taxes:  $ 4742
Property Features
Air Conditioning:  Window Unit(s)
Approximate Square Footage:  700-1100
Basement:  Finished, Separate Entrance
Exterior:  Brick
Foundation Details:  Concrete
Fronting On:  South
Heat Source:  Gas
Heat Type:  Forced Air
Roof:  Asphalt Shingle
Sewers:  Sewer
Listed By:     RIGHT AT HOME REALTY